首页
关于我们
企业简介
服务承诺
资质证书
仪器设施
人力资源
人力招聘
无损检测
X射线检测
磁粉检测
渗透检测
超声波检测
失效分析
能谱
扫描电镜
理化实验
送检流程
检测报告
典型客户
信息中心
华中新闻
行业信息
专题介绍
培训咨询
资讯下载
联系方式
在线留言
联系地址
仪器检定站
分析测试学会
能谱
扫描电镜
失效分析 >
扫描电镜
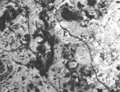
氧化层中裂纹形貌(金相显微镜100X)
氧化层中裂纹形貌(金相显微镜100X)
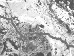
70X下扫描电镜下裂纹形貌
100X下扫描电镜下裂纹形貌
400X下扫描电镜下裂纹形貌
1200X下扫描电镜下裂纹形貌
内壁裂纹和点蚀坑形貌
腐蚀孔洞形貌
未贯穿的点蚀坑形貌
点蚀坑边缘腐蚀产物形貌
较小点蚀坑内的夹杂物形貌
微小点蚀坑内的夹杂物形貌
Copyright ©
www.njhzjc.com
INC. All Rights Reserved. 版权所有 南京华中检测有限公司
苏ICP备12028876号-1
苏公网安备32011102010236号
地址:江苏省南京市广州路140号随园大厦25层 邮编:210024
电话:025-83248119 传真:025-83240097 手机:13605198872 沈先生
邮箱:
1276549612@qq.com
网址:
www.njhzjc.com